702 N Washington StreetEverson, WA 98247
Listing courtesy of Tony Hoefakker of COMPASS




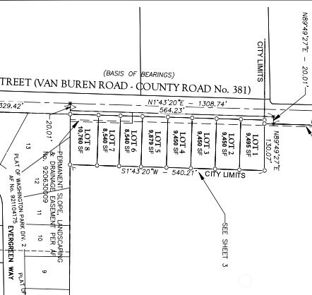
Fully engineered development opportunity in Everson. Fieldview Terrace short plat includes 8 single-family lots with engineered plans submitted and final plat approval pending. Full utility and road infrastructure plan also designed and submitted. No wetland impacts. Excellent potential for a builder or investor to step in at the finish line. Existing 5-bedroom farmhouse in good condition with tenants in place. Generates interim rental income while development is finalized, or buy and hold as a long term investment. Buyer to verify final plat recording timeline and development conditions with City.
| 4 hours ago | Listing updated with changes from the MLS® | |
| yesterday | Listing first seen on site |
Listing courtesy of Tony Hoefakker of COMPASS
Listing information is provided by Participants of the Northwest MLS. IDX information is provided exclusively for personal, non-commercial use, and may not be used for any purpose other than to identify prospective properties consumers may be interested in purchasing. Information is deemed reliable but not guaranteed. Copyright 2026, Northwest MLS.
All data is obtained from various sources and may not have been verified by the broker or MLS Grid. Supplied open house information is subject to change without notice. All information should be independently reviewed and verified for accuracy. Properties may or may not be listed by the office/agent presenting the information.
Last checked: 2026-02-17 01:37 PM PST

Did you know? You can invite friends and family to your search. They can join your search, rate and discuss listings with you.